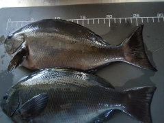
釣行日 2019/05/23 釣行時間 05:00~12:00 釣場 東海 > 静岡西部 > 浜名湖 ポイント 今切口 釣り方 ウキ釣り(海) 釣魚 メジナ(グレ) 釣果 メジナ(グレ)40以上 サイズ メジナ(グレ)22
同じ釣魚の記事 イシグロカインズモール彦根店 1,162 view 彦根店釣果情報 三重県尾鷲で磯からフカセ十目釣りin川端渡船様 尾鷲漁港出船の川端渡船様にて、磯渡しでのフカセ釣りでの釣果。グレのほかオオモンハタやタカノハダイなど色々な魚が釣れました!サシエはオキアミ、コマセは王道グレと爆寄せグレとオキアミブロックを配合。 釣行日 2022/10/22 釣行時間 06:00~14:00 釣場 尾鷲周辺 ポイント 尾鷲漁港出港 川端渡船 釣魚 メジナ(グレ)・タカノハダイ・アカハタ・オオモンハタ・シマアジ・メイチダイ・ヘダイ・マダイ・クロサギ・カサゴ 釣り方 ウキ釣り(海) 釣果 メジナ(グレ)1匹、タカノハダイ1匹、アカハタ3匹、オオモンハタ1匹、シマアジ1匹、メイチダイ2匹、ヘダイ2匹、マダイ1匹、クロサギ2匹、カサゴ3匹 サイズ メジナ(グレ)25cm、タカノハダイ35cm、アカハタ15~25cm、オオモンハタ35cm、シマアジ30cm、メイチダイ30cm、ヘダイ25~35cm、マダイ20cm、クロサギ25cm~30cm、カサゴ20~25cm イシグロバイヤー 2,570 view 魚種豊富!秋の浜名湖海釣り公園♪ 10目達成♪秋の浜名湖海釣り公園は釣れる魚種が豊富! 釣行日 2022/10/16 釣行時間 05:00~11:00 釣場 新居弁天海釣公園 ポイント 釣魚 イワシ・カサゴ・カワハギ・フグ(ショウサイフグ・ヒガンフグ)・ヘダイ・メジナ(グレ)・アジ・カゴカキダイ・アイゴ・イヌカサゴ 釣り方 サビキ釣り 釣果 イワシ8、カサゴ1、カワハギ1、フグ(ショウサイフグ・ヒガンフグ)たくさん、ヘダイ3、メジナ(グレ)1、アジ1、カゴカキダイ1、アイゴたくさん、イヌカサゴ1 サイズ イワシ12、カサゴ18、カワハギ17、フグ(ショウサイフグ・ヒガンフグ)10、ヘダイ20、メジナ(グレ)15、アジ10、カゴカキダイ14、アイゴ15~20、イヌカサゴ18 イシグロ伊東店 626 view 【イシグロ伊東店】レンタル釣具釣果情報 堤防ウキ釣りでメジナが釣れました! 当店レンタル釣具ご利用のお客様からの釣果 メジナの他にはベラやネンブツダイが多かったです。 釣行日 2022/09/23 釣行時間 13:00~16:00 釣場 川奈いるか浜公園 ポイント 釣魚 メジナ(グレ) 釣り方 ウキ釣り(海) 釣果 メジナ(グレ)1匹 サイズ メジナ(グレ)20㎝前後 水口 1,847 view 浜名湖ぶっこみ絶好調!アオリ初ゲット♪ アオリイカは目が綺麗ですぞ! 釣行日 2022/09/13 釣行時間 00:00~10:00 釣場 新居弁天海釣公園 ポイント ぶっこみ、サビキ 釣魚 アオリイカ・アジ・アナゴ・イワシ・サッパ・シーバス・メジナ(グレ)・ガザミ 釣り方 その他 釣果 アオリイカリリース、アジそこそこ、アナゴ1匹、イワシそこそこ、サッパ1匹、シーバス3匹、メジナ(グレ)そこそこ、ガザミ2匹 サイズ アオリイカミニ、アジ~18cm、アナゴ60㎝、イワシそこそこ、サッパそこそこ、シーバス~20㎝、メジナ(グレ)こっぱ、ガザミでかい イシグロ伊東店 1,112 view 【イシグロ伊東店】フカセ釣り釣果情報 メジナ釣れました! 本命はクロダイ狙いでしたが、残念ながら釣れませんでした。 釣行日 2022/09/09 釣行時間 06:00~11:00 釣場 伊東周辺 ポイント 伊東港 釣魚 メジナ(グレ)・ヒイラギ 釣り方 その他 釣果 メジナ(グレ)2匹、ヒイラギ2匹 サイズ メジナ(グレ)20㎝、ヒイラギ20㎝ イシグロバイヤー 5,457 view 【魚種が豊富!アオリイカも!】浜名湖新居海釣り公園釣果情報♪ アオリイカも釣れました。カワハギ、アジ、グレなど多魚種が釣れています! 釣行日 2022/09/03 釣行時間 05:00~12:00 釣場 新居弁天海釣公園 ポイント 釣魚 アオリイカ・カワハギ・サッパ・マダイ・メジナ(グレ)・アジ・イシダイ・イシガキダイ 釣り方 サビキ釣り 釣果 アオリイカ1杯、カワハギ8匹、サッパ1匹、マダイ4匹、メジナ(グレ)5匹、アジ5匹、イシダイ・イシガキダイ3匹 サイズ アオリイカ15㎝、カワハギ最大15㎝、サッパ12㎝、マダイ最大15㎝、メジナ(グレ)23㎝、アジ13㎝前後、イシダイ・イシガキダイ15㎝ イシグロ岡崎大樹寺店 1,429 view アジ回遊中!他にもいろんな魚が登場♪ 新居海釣公園 サビキ釣りでアジが大漁!青イソメを使った胴付き仕掛けではいろんな魚が釣れました。 釣行日 2022/08/30 釣行時間 09:30~12:00 釣場 新居弁天海釣公園 ポイント 釣魚 アジ・メジナ(グレ) 釣り方 サビキ釣り 釣果 アジ約70匹、メジナ(グレ)3匹 サイズ アジ最大15cm、メジナ(グレ)20cm 水口 1,466 view 本年カワハギ初ゲット♪浜名湖らぶ! 色々チャレンジ! 釣行日 2022/08/30 釣行時間 00:00~08:00 釣場 新居弁天海釣公園 ポイント ガルプらぶ! 釣魚 アジ・イサキ・イワシ・カワハギ・サッパ・シーバス・メジナ(グレ) 釣り方 サビキ釣り 釣果 アジたくさん、イサキたくさん、イワシそこそこ、カワハギ1匹、サッパ1匹、シーバスそこそこ、メジナ(グレ)そこそこ サイズ アジナイス、イサキミニ、イワシそこそこ、カワハギそこそこ、サッパそこそこ、シーバスそこそこ、メジナ(グレ)そこそこ イシグロ沼津店 2,044 view 【沼津堤防釣果】ショアジグ・カゴ釣りで青物・根魚絶好調です! 使用ジグはFサーディン40gのアルミシルバー ワームは静ヘッドの20gにデスアダーシャッドのケイムラハーフシルバー 釣行日 2022/08/24 釣行時間 05:00~17:00 釣場 沼津周辺 ポイント 釣魚 オオモンハタ・カンパチ・シマアジ・メジナ(グレ)・ソウダガツオ・メイチダイ・シイラ 釣り方 ショアジギング 釣果 オオモンハタ3匹、カンパチ1匹、シマアジ2匹、メジナ(グレ)1匹、ソウダガツオ10匹前後、メイチダイ1匹、シイラ1匹 サイズ オオモンハタ20~35cm、カンパチ35cm、シマアジ20cm、メジナ(グレ)25cm、ソウダガツオ40cm、メイチダイ20cm、シイラ45cm イシグロ西春店 1,450 view 灼熱の堤防釣り!三重にフカセ釣りに行ってきました(^^♪ この時期の釣りは半分修行ですね(笑) 釣行日 2022/08/15 釣行時間 06:00~15:00 釣場 尾鷲周辺 ポイント 釣魚 アジ・オオモンハタ・メジナ(グレ) 釣り方 ウキ釣り(海) 釣果 アジ1匹、オオモンハタ1匹、メジナ(グレ)1匹 サイズ アジ約15㎝、オオモンハタ約20㎝、メジナ(グレ)27cm 伸ちゃん、鬼ちゃん 656 view 念願の浜名湖釣行 念願の浜名湖釣行に行って来ました。 釣行日 2022/08/14 釣行時間 06:00~17:00 釣場 浜名湖 ポイント 釣魚 メジナ(グレ) 釣り方 ウキ釣り(海) 釣果 メジナ(グレ)4匹 サイズ メジナ(グレ)25センチ 水口 1,352 view 浜名湖さんのお中元♪あざ~す! 開始1時間は当たりなし。何とか好釣果ですぞ! 釣行日 2022/08/09 釣行時間 00:00~05:30 釣場 新居弁天海釣公園 ポイント ぶっこみ&サビキ好調☆ 釣魚 アジ・イワシ・メジナ(グレ)・ガザミ 釣り方 サビキ釣り 釣果 アジたくさん、イワシたくさん、メジナ(グレ)1枚、ガザミ1匹 サイズ アジ~15cm、イワシ13㎝、メジナ(グレ)18㎝、ガザミでかい イシグロ中川かの里店 1,385 view シオが入れ食い!夏の沖磯で五目釣りin紀伊長島 朝方はシオ(カンパチの幼魚)が入れ食い状態!ツバスや大型カマスも釣れてます。 釣行日 2022/08/07 釣行時間 05:00~11:45 釣場 紀伊長島周辺 ポイント 一栄丸さん 釣魚 メジナ(グレ)・シオ・ツバス・カマス・シマアジ等 釣り方 ウキ釣り(海) 釣果 メジナ(グレ)1匹、シオ・ツバス・カマス・シマアジ等たくさん サイズ メジナ(グレ)30cm、シオ・ツバス・カマス・シマアジ等40cmクラスまで イシグロバイヤー 7,780 view 【2022夏】爆釣!!浜名湖新居海釣り公園カワハギ釣果情報!! カワハギ釣れています。ハヤブサの胴付き仕掛けの4号に青イソメで釣れます。サビキで良型アジも多数釣れています。 釣行日 2022/08/06 釣行時間 05:00~12:00 釣場 新居弁天海釣公園 ポイント 釣魚 アジ・カワハギ・サッパ・ヒイラギ(ゼンメ・ネコマタ)・マダイ・メジナ(グレ) 釣り方 サビキ釣り 釣果 アジ30匹、カワハギ45匹、サッパ10匹、ヒイラギ(ゼンメ・ネコマタ)10匹、マダイ6匹、メジナ(グレ)5匹 サイズ アジ16cm、カワハギ最大15㎝、サッパ12㎝、ヒイラギ(ゼンメ・ネコマタ)10cm、マダイ15㎝、メジナ(グレ)15㎝ イシグロ沼津店 1,877 view 【沼津市堤防釣果】ウキフカセ釣りで五目爆釣です!【フカセ釣り編】 コマセはグレパワーV9とVSP、オキアミ4切れ2ブロックを使用。 釣行日 2022/08/05 釣行時間 06:00~18:00 釣場 沼津周辺 ポイント 釣魚 メジナ(グレ)・ヒブダイ・シマアジ・アジ・ショゴ 釣り方 ウキ釣り(海) 釣果 メジナ(グレ)3匹、ヒブダイ1匹、シマアジ15匹前後、アジ7匹、ショゴ1匹 サイズ メジナ(グレ)20~30cm、ヒブダイ35cm、シマアジ20~25cm、アジ7~15cm~15、ショゴ15cm イシグロバイヤー 5,572 view 【2022夏休み特集】★魚種豊富★浜名湖新居海釣り公園 サビキ釣り&五目釣り 魚種豊富な浜名湖新居海釣り公園で夏休みに楽しめる釣りを調査してきました。 夏休みに釣りするなら絶対おすすめです♪ 釣行日 2022/07/31 釣行時間 05:00~12:00 釣場 新居弁天海釣公園 ポイント 釣魚 イワシ・カサゴ・カマス・カワハギ・サッパ・サバ・ヒイラギ(ゼンメ・ネコマタ)・フグ(ショウサイフグ・ヒガンフグ)・マダイ・メジナ(グレ)・アジ・イシダイ・イシガキダイ 釣り方 サビキ釣り 釣果 イワシ4、カサゴ1、カマス1、カワハギ11、サッパ10、サバ1、ヒイラギ(ゼンメ・ネコマタ)10、フグ(ショウサイフグ・ヒガンフグ)1、マダイ1、メジナ(グレ)20、アジ70、イシダイ・イシガキダイ1 サイズ イワシ7-12cm、カサゴ10 cm、カマス10cm、カワハギ10-15cm、サッパ13cm、サバ25cm、ヒイラギ(ゼンメ・ネコマタ)5-7cm、フグ(ショウサイフグ・ヒガンフグ)15cm、マダイ10、メジナ(グレ)15-30cm、アジ10-15cm、イシダイ・イシガキダイ25cm kaz 1,058 view 岸壁落とし込み邪道かもだけどw ウキ付けてハゼ鈎やセイゴ鈎にアオイソメ付けて岸壁に沿って落とし込んで釣れました。 釣行日 2022/07/30 釣行時間 07:00~17:20 釣場 福田周辺 ポイント 福田漁港 釣魚 イシダイ・イシガキダイ・メジナ(グレ) 釣り方 落とし込み釣り 釣果 イシダイ・イシガキダイ2尾、メジナ(グレ)1尾 サイズ イシダイ・イシガキダイ15〜20cm、メジナ(グレ)15〜20cm イシグロ津高茶屋店 2,564 view 真夏の筏釣り‼夏のオススメグッズも大公開♪ 真夏の筏釣りは水温が高く、色々な魚があらわれますよ!パラソルやクーラーボックスは必需品ですよ♪ 釣行日 2022/07/20 釣行時間 05:00~18:00 釣場 その他 ポイント KAORU渡船さま 釣魚 アジ・オオモンハタ・メジナ(グレ) 釣り方 カセ・イカダ釣り 釣果 アジ30匹、オオモンハタ5匹、メジナ(グレ)1匹 サイズ アジ~20cm、オオモンハタ~20cm、メジナ(グレ)25cm イシグロ焼津店 577 view マイスター成瀬さんと!!激シブ夜アジ!!! 藤丸様に乗らせていただきました! 興栄丸様の仕掛けがおすすめです!!!タナは底から3メートル! 釣行日 2022/06/28 釣行時間 00:45~06:30 釣場 沖・オフショア ポイント 釣魚 アジ・メジナ(グレ) 釣り方 船釣り 釣果 アジ8匹、メジナ(グレ)1匹 サイズ アジ30~20㎝、メジナ(グレ)38cm y 809 view メジナです。朝帰り…。 朝マズメ狙い打ち。やっと釣れました。 釣行日 2022/06/07 釣行時間 04:00~07:00 釣場 沼津周辺 ポイント 朝帰り…。釣れた。 釣魚 メジナ(グレ) 釣り方 ロックフィッシュ 釣果 メジナ(グレ)2 サイズ メジナ(グレ)26 もっと見る