タノシサを追求する遊びコミュニケーションサイト

釣りを楽しむ

釣りを知る

店舗情報

セール・イベント

ログイン ログイン

ログイン

イシグロメンバーズ会員ご登録でオンラインショップでのお買い物が楽しめます。
店舗ご利用のお客様は、アプリダウンロードでより便利にお得に、お買い物いただけます。

  • ▪イシグロポイントはオンラインショップでのお買い物にも使えます・貯まります!
  • ▪イシグロメンバーズ限定クーポンも展開していきます!
ログイン

ログイン

イシグロメンバーズ会員ご登録でオンラインショップでのお買い物が楽しめます。
店舗ご利用のお客様は、アプリダウンロードでより便利にお得に、お買い物いただけます。

  • ▪イシグロポイントはオンラインショップでのお買い物にも使えます・貯まります!
  • ▪イシグロメンバーズ限定クーポンも展開していきます!
  • 89 view

スタッフ菊間 東伊豆エリアの堤防泳がせ釣りでヒラスズキ68㎝

堤防泳がせ釣りでヒラスズキ

堤防泳がせ釣りでヒラスズキ

釣行日
釣行時間
16:30~17:30
投稿者
イシグロ伊東店
堤防で活きエサを釣って、そのエサを泳がせて釣りました。

前日に続き、本日は泳がせ釣りだけで堤防に行きました。

まず、活きエサの「ギンイソイワシ」と「ネンブツダイ(クロホシイシモチ)」をサビキ仕掛けで確保しました。

16:30から始めると「ギンイソイワシ」にまずワカシがヒット!

その後、ライズも小魚の気配もない中、17:00に突然のアタリ!

十分に喰い込ませてからアワセをすると、すぐにエラ洗い!

良型と分かったので慎重にやり取りをし自分でネットイン!

玉ノ柄を畳む時の重量感が心地よかったです

ただ、アタリはこの2回だけで早めに納竿しました。

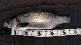
ヒラスズキ68㎝

ヒラスズキ68㎝

4キロありました

4キロありました

釣行日
釣行時間 16:30~17:30
釣場 東海 > 静岡東部 > 東伊豆周辺
ポイント 東伊豆堤防
釣り方 その他
釣魚 ヒラスズキ・ ワカシ
釣果 ヒラスズキ1匹、ワカシ1匹
サイズ ヒラスズキ68㎝ 4キロ、ワカシ38㎝

同じ釣魚の記事

  • あなたも釣り投稿してみませんか? 記事を投稿する