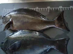
釣行日 2019/05/23 釣行時間 05:00~12:00 釣場 東海 > 静岡西部 > 浜名湖 ポイント 今切口 釣り方 ウキ釣り(海) 釣魚 メジナ(グレ) 釣果 メジナ(グレ)40以上 サイズ メジナ(グレ)22
同じ釣魚の記事 イシグロ伊東店 409 view 【イシグロ伊東店】スタッフ菊間 東伊豆堤防ウキフカセ釣果情報 小サバが居なくて、沖狙いで良型が釣れました! 釣行日 2022/06/01 釣行時間 14:00~18:50 釣場 東伊豆周辺 ポイント 東伊豆堤防 釣魚 メジナ(グレ) 釣り方 その他 釣果 メジナ(グレ)10匹 サイズ メジナ(グレ)35~44㎝ イシグロ西春店 1,293 view 尾鷲ぶらり釣行!オキアミで色々… グレ針にオキアミ刺して岸壁を脈釣りするだけで色々釣れますよ♪ 釣行日 2022/05/30 釣行時間 12:00~16:00 釣場 尾鷲周辺 ポイント 釣魚 カサゴ・カワハギ・カンパチ・シマアジ・メジナ(グレ) 釣り方 その他 釣果 カサゴ3尾、カワハギ1尾、カンパチ8尾、シマアジ16尾、メジナ(グレ)2尾 サイズ カサゴ25cm、カワハギ28cm、カンパチ23cm、シマアジ20cm、メジナ(グレ)23cm メジナ(グレ)巣窟にて、日中の満潮時の調査釣行 551 view まだまだ釣れます!メジナの巣窟(第5回)、真っ昼間の釣り! 約4時間粘っての釣果です。昼間は厳しいでぅ。粘ってのメジナです。 釣行日 2022/05/29 釣行時間 15:00~17:00 釣場 その他 ポイント 真っ昼間に釣れるのかあ、、! 釣魚 メジナ(グレ) 釣り方 ロックフィッシュ 釣果 メジナ(グレ)2匹 サイズ メジナ(グレ)27cm かわせみ 626 view 舞阪でヒラメ チヌ、グレ狙いのフカセ釣りでしたが、ほぼサバしか釣れず。途中潮が緩むまでルアーに変更したらヒラメ(ソゲ)HIT。 釣行日 2022/05/20 釣行時間 05:00~18:00 釣場 舞阪網干場 ポイント 釣魚 サバ・ヒラメ・メジナ(グレ) 釣り方 その他 釣果 サバ30匹、ヒラメ1匹、メジナ(グレ)3匹 サイズ サバ15~20cm、ヒラメ27cm、メジナ(グレ)20cm ソルトショアルアー(愛知エリア)フィッシングマイスター 今井魁飛 550 view イシグロ鳴海店 コマセ真鯛研修に行ってきました! 仕掛けが長く扱いが大変なため、プラ枠があると仕掛けの投入が楽ですよ! 釣行日 2022/05/19 釣行時間 05:00~12:30 釣場 沖・オフショア ポイント 釣魚 アジ・イサキ・サバ・マダイ・メジナ(グレ) 釣り方 船釣り 釣果 アジ数匹、イサキ約30匹、サバ約30匹、マダイ約13匹、メジナ(グレ)約10匹 サイズ アジ~30cm程、イサキ~40cm程、サバ~45cm程、マダイ~50cm程、メジナ(グレ)~40cm程 イシグロ伊東店 369 view 【イシグロ伊東店】東伊豆堤防、ウキフカセで良型メジナ釣れました! 午後から夕方での釣果 16:00過ぎてから良型が釣れました! 釣行日 2022/05/18 釣行時間 13:30~18:30 釣場 東伊豆周辺 ポイント 東伊豆堤防 釣魚 メジナ(グレ) 釣り方 その他 釣果 メジナ(グレ)10匹 サイズ メジナ(グレ)32~38㎝ y 1,032 view 尺オーバーのメジナ(グレ)再び釣れました! ワンチャンスです。潮が引いている時は釣れないようです。 釣行日 2022/05/18 釣行時間 00:00~05:00 釣場 沼津周辺 ポイント 堤防から尺メジナ(グレ)再び。 釣魚 メジナ(グレ) 釣り方 ロックフィッシュ 釣果 メジナ(グレ)1 サイズ メジナ(グレ)30cm 水口 3,001 view サビキ爆釣!青物初ゲット!(;゚д゚)ミニ、、、 今日はイワシトルネード発生!ボックス満タン♪八目達成☆ 釣行日 2022/05/17 釣行時間 00:00~07:30 釣場 新居弁天海釣公園 ポイント 経験値集めてレベルアップじゃ! 釣魚 アジ・イワシ・カサゴ・サッパ・サバ・メジナ(グレ)・ワラサ・ブリ・ガザミ 釣り方 サビキ釣り 釣果 アジたくさん、イワシ爆発、カサゴ2匹、サッパ2匹、サバたくさん、メジナ(グレ)1匹、ワラサ・ブリ1本、ガザミ1匹 サイズ アジ豆、イワシ~15cm、カサゴそこそこ、サッパそこそこ、サバ17cm、メジナ(グレ)こっぱ、ワラサ・ブリスモール、ガザミナイス イシグロ伊東店 499 view 【イシグロ伊東店】東伊豆堤防釣果情報!ウキフカセでメジナ釣れました。 午後からの釣果 この日は、エサ取りが多く苦戦しました! 釣行日 2022/05/11 釣行時間 13:00~19:00 釣場 東伊豆周辺 ポイント 東伊豆堤防 釣魚 メジナ(グレ) 釣り方 その他 釣果 メジナ(グレ)8匹 サイズ メジナ(グレ)31~38㎝ イシグロ伊東店 487 view 【イシグロ伊東店】東伊豆堤防釣果情報、ウキフカセでメジナ釣れました! 浅ダナでの遠投釣りでした。 小サバはおらず、まだ釣りになりました。 釣行日 2022/05/04 釣行時間 13:30~18:00 釣場 東伊豆周辺 ポイント 釣魚 メジナ(グレ) 釣り方 その他 釣果 メジナ(グレ)11匹 サイズ メジナ(グレ)30~35㎝ イシグロバイヤー 1,935 view 【魚種多彩】三保沖のコマセ五目に行ってきました! 今回は地元清水、三保沖へコマセ五目釣行!魚種多彩で楽しめました! 釣行日 2022/05/04 釣行時間 06:00~10:30 釣場 沖・オフショア ポイント 三保沖 釣魚 イサキ・ヒラアジ・マダイ・メジナ(グレ)・ウマズラ・ウスバハギ 釣り方 船釣り 釣果 イサキ5匹、ヒラアジ1匹、マダイ2匹、メジナ(グレ)2匹、ウマズラ4匹、ウスバハギ1匹 サイズ イサキ最大30㎝、ヒラアジ25㎝、マダイ最大40㎝、メジナ(グレ)最大45㎝、ウマズラ最大30㎝、ウスバハギ50㎝ かわせみ 1,549 view 舞阪でメジロ 始めての青物で竿の曲がりとドラグの音を経験、クセになりそう。 釣行日 2022/04/28 釣行時間 06:00~17:00 釣場 舞阪網干場 ポイント 釣魚 メジナ(グレ)・ワラサ・ブリ 釣り方 ウキ釣り(海) 釣果 メジナ(グレ)6匹、ワラサ・ブリ1匹 サイズ メジナ(グレ)15~20cm、ワラサ・ブリ61cm イシグロ伊東店 1,152 view 【イシグロ伊東店】東伊豆堤防釣果情報!良型メジナ釣れました! 木っ葉メジナやキタマクラなどのエサ取りが多かったものの 夕方には活発にアタリがあった! 釣行日 2022/04/26 釣行時間 12:30~18:00 釣場 東伊豆周辺 ポイント 東伊豆堤防 釣魚 メジナ(グレ) 釣り方 その他 釣果 メジナ(グレ)12匹 サイズ メジナ(グレ)32~44㎝ イシグロ伊東店 1,472 view 【イシグロ伊東店】4/22速報 川奈いるか浜堤防調査にいってきました。 ウキ釣りで小メジナが好調に釣れていました。カゴ釣りではクロダイ・マダイ狙いの方が、投げ釣りではホウボウ狙いの方が釣りをしていました。トウゴロイワシがたくさんいたのでトリック仕掛で狙えば釣れそうですね。 釣行日 2022/04/22 釣行時間 11:00~11:30 釣場 川奈いるか浜公園 ポイント 釣魚 メジナ(グレ) 釣り方 ウキ釣り(海) 釣果 メジナ(グレ)5匹 サイズ メジナ(グレ)15㎝~20㎝ イシグロ沼津店 2,627 view 西伊豆 田子沖磯釣行!! 福由丸さんでの渡船。集魚剤はV9徳用を使いましたが、混ぜ方でまとまりの調節がしやすく非常に使いやすい集魚剤です。 釣行日 2022/04/21 釣行時間 06:30~15:00 釣場 西伊豆周辺 ポイント 田子 沖磯 釣魚 メジナ(グレ) 釣り方 その他 釣果 メジナ(グレ)15枚 サイズ メジナ(グレ)30cm~39cm 988 view 西伊豆仁科沖磯行ってきました‼ イサキの皮目に脂がギットリ付いていました!潮に000のウキを流すと、イサキが喰ってきました。 釣行日 2022/04/19 釣行時間 05:30~15:00 釣場 その他 ポイント 釣魚 メジナ(グレ)・イサキ 釣り方 ウキ釣り(海) 釣果 メジナ(グレ)3匹、イサキ4匹 サイズ メジナ(グレ)35cm、イサキ35cm y 1,338 view 大潮、満月の最高の条件で。メジナの巣窟にて、、3回目です。 本日もメジナの巣窟で釣れました。 釣行日 2022/04/18 釣行時間 01:00~03:00 釣場 沼津周辺 ポイント メジナの巣窟、、、、。第3回、、。電気ウキロストが痛かった、、。 釣魚 メジナ(グレ)・カサゴ 釣り方 ロックフィッシュ 釣果 メジナ(グレ)2枚、カサゴ1匹 サイズ メジナ(グレ)26cm、カサゴ23cm イシグロ沼津店 454 view 釣り研修に行って来ました!! 新居海釣り公園での釣行。仕掛けはパニック、エサはアミエビ。アミエビを撒いて、同調させると良く釣れていた模様。 釣行日 2022/04/14 釣行時間 07:30~12:30 釣場 新居弁天海釣公園 ポイント 2番堤防 釣魚 メジナ(グレ)・ベラ 釣り方 サビキ釣り 釣果 メジナ(グレ)2匹、ベラ2匹 サイズ メジナ(グレ)10cm、ベラ10cm イシグロ伊東店 1,568 view 【イシグロ伊東店】スタッフ菊間堤防で良型メジナ連発! いつも釣果のある遠投ポイントはスズメダイだらけで、中間距離でアタリが出ました。 釣行日 2022/04/13 釣行時間 12:30~17:30 釣場 川奈いるか浜公園 ポイント 釣魚 メジナ(グレ) 釣り方 ウキ釣り(海) 釣果 メジナ(グレ)10匹 サイズ メジナ(グレ)37~30cm イシグロ伊東店 1,179 view 【イシグロ伊東店】東伊豆地磯釣果情報!尾長メジナ釣れました! 日中での釣果でした。 釣行日 2022/04/10 釣行時間 07:00~14:00 釣場 東伊豆周辺 ポイント 城ケ崎周辺地磯 釣魚 メジナ(グレ) 釣り方 その他 釣果 メジナ(グレ)3匹 サイズ メジナ(グレ)30~38㎝ もっと見る