皆様こんにちは!!
イシグロ高林店の森下でございます。
世間もようやく落ち着きある状況になってきたので今回スタッフ山田と共に
三重県紀北町にある貞丸さんへ行ってきました。

浜松からは高速道路を使って3時間半ほどかかりますが無事、現場に到着し受付を済ませてから
船に乗船して釣堀に向かいます。

あいにくの空模様で時折、雨も降りだす天気でしたが・・・。

現場に到着してから準備に入りますがこの時に活きアジの販売がありますので必要な方はここで
購入します。スカリも用意されているのでそのまま生かしておくことができるのでとても便利です。
一杯(10匹ほど) 1000円で販売されています。
今回、使用した仕掛はこちら!

オーナー 海上釣り堀仕掛 真鯛チャレンジ 11-4

同じくオーナー 海上釣り堀仕掛 喰い渋り真鯛 8-2.5
どちらも必要なものが揃っているのでそのままセットしてOK!

付けエサはこちらを用意。
練りエサ3種、オキアミ、むきエビ、虫エサ(ゴールド)、ボケ、磯ガニ、カラス貝、冷凍イワシ、カツオ
さぁ一体どの餌で釣れるでしょうか?
最初のうちは当たりが渋く中々厳しかったですがしばらくしたら一回目のマダイの放流タイムがきました。ここで魚の活性が上がるのでチャンスです!
そこで・・・。

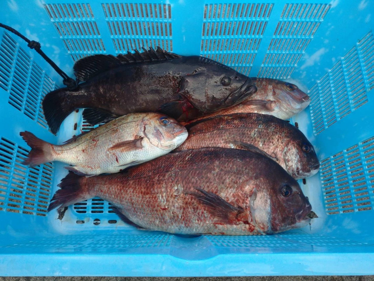
待望のマダイが上がりました!!
その後に続きスタッフ山田も

大型マダイが上がりました!私が釣ったものより大きい・・・うらやましい。
そしてお昼前の2回目の青物メインの放流タイムではスタッフ山田が活きアジの泳がせで
.jpg.webp?itok=-UZC7olL)
良型のマハタが上がりました!!またまたうらやましい~。

ちなみにこちらの仕掛は がまかつ 海上釣り堀 誘導 青物泳がせタナとり 11-6

時間終了となり今回は残念ながら青物は釣れませんでしたが他でハマチ、シマアジなどが釣れていました。
今回釣れた時のエサはマルキュー マダイイエロー、マダイストロングの練り餌と特選むきエビでの釣果です。
海上釣り堀で釣果を上げるコツは以下の通り。
・釣れるタナは一定ではないのでこまめにタナとりがオススメ。
・エサは数種類のものを用意してその日の当たり餌を探る。
・同じエサ使い続けるのではなく時々違うエサを使って魚を飽きさせないようにする。

釣った魚は貞丸さんでしっかり〆ていただけるので安心!

氷もバケツ一杯 300円で販売しています。

駐車場も広々としています。
浜松からは遠いところとなってしまいますがお休みを利用して釣行してみてはいかがでしょうか?
今回お世話になった貞丸さんは波の穏やかな湾内で釣りをすることができますので安心ですよ。
料金、釣果状況など詳しい情報等は下記ホームページでご確認を
イシグロ高林店では今回紹介した仕掛、エサを各種、取り揃えておりますのでお問い合わせ等ありましたら
お近くスタッフまでお気軽にお問合せください。
お待ちしております。
釣り大好きスタッフが集めた新鮮な釣り情報がいっぱい!釣果情報新着一覧はこちら!
イシグロ店舗スタッフ発!さまざまな情報の新着一覧!店舗ブログはこちら!
イシグロ店舗へのアクセス・営業時間のご案内や店舗発信の新着情報各種はこちら!










